Huracán Erick de categoría 4 empieza a causar inundaciones y daños en las costas de México

Las autoridades pidieron evacuar varias zonas, mientras ya se registran emergencias.
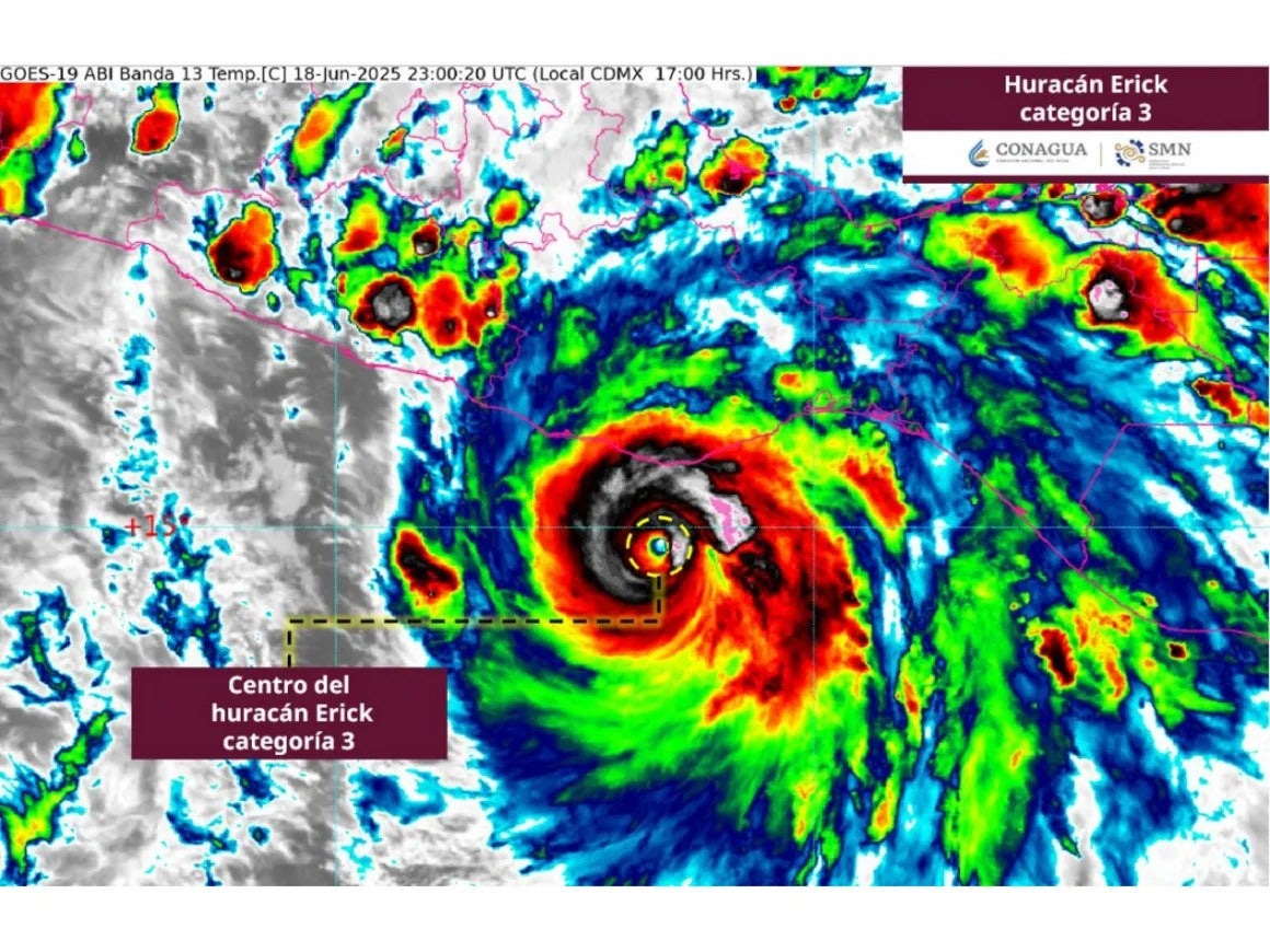
Foto: El ciclón se ubica a 145 kilómetros al sureste de Punta Maldonado, en Guerrero.
Foto: El ciclón se ubica a 145 kilómetros al sureste de Punta Maldonado, en Guerrero. Crédito: El ciclón se ubica a 145 kilómetros al sureste de Punta Maldonado, en Guerrero.

La madrugada de este jueves 19 de junio, el huracán Erick se intensificó rápidamente y ya alcanza categoría 4, con vientos sostenidos de hasta 230 kilómetros por hora, según informó SkyAlert.

El ciclón se ubica a 145 kilómetros al sureste de Punta Maldonado, en Guerrero, y su trayectoria lo lleva directamente hacia las costas de Oaxaca, especialmente en el área de Pinotepa Nacional.

Lea: Consulta popular: Ministro del interior dice que Consejo de Estado no puede declararla inconstitucional

Ante esta situación, las autoridades locales han activado protocolos de emergencia y suspendido toda actividad al aire libre, recomendando a la población no salir de sus viviendas y mantenerse alejados de playas, ríos y arroyos.

La presidenta de México, Claudia Sheinbaum, también se pronunció frente a la emergencia y entregó un mensaje dirigido especialmente a las comunidades costeras.

"Las recomendaciones son resguardarse en sus domicilios, no salir, mantenerse juntos en familia. Si viven cerca de ríos o en lugares bajos, trasládense a los albergues", indicó la mandataria mexicana.

Y agregó: "manténganse juntos, informados a través de las vías oficiales. El plan DN-3C de la defensa está en marcha, igual que el plan marina, la Conagua, la Comisión Federal de electricidad están atentas y mucha coordinación entre las instituciones federales, estatales y municipal".

Le puede interesar: Efraín Cepeda confía en que Consejo de Estado confirme ilegalidad de "decretazo" de consulta popular

La presidenta de México también señaló que, "voy a estar muy atenta a lo que suceda esta noche. Manténganse juntos y mantengan la calma. Juntos vamos a salir adelante".

Tras el anuncio oficial del fortalecimiento del huracán, la gobernadora de Guerrero, Evelyn Salgado, confirmó que el estado se encuentra en alerta roja, lo que implica riesgo máximo por los posibles efectos colaterales del impacto.

En Acapulco, la alcaldesa Abelina López pidió a la ciudadanía actuar con responsabilidad y acatar cada medida de protección.

Por su parte, la Coordinación Nacional de Protección Civil mantiene activa la vigilancia en todo el litoral y reitera el llamado a no confiarse: Erick es un huracán peligroso y su impacto será significativo en las próximas horas.


Temas relacionados

Cuba

Crisis en Cuba se agrava: cierran hoteles y reubican turistas ante desabastecimiento de combustible

El sector turístico en Cuba, considerado en un tiempo locomotor de la economía, confirmó en 2025 su crisis al cerrar con su peor registro de viajeros internacionales (1,8 millones) desde 2002.
Cuba
Ver



Zelenski asegura que EE. UU. apunta a cerrar la guerra en Ucrania antes de junio

La administración del presidente Donald Trump ha intensificado en los últimos meses la presión sobre Moscú y Kiev para poner fin a un conflicto.

Esposa de Alex Saab fue vista con normalidad en Maiquetía mientras persiste el misterio sobre su paradero

La esposa de Alex Saab fue vista en el aeropuerto de Maiquetía bajo vigilancia oficial, mientras persisten el silencio y la incertidumbre sobre el paradero del empresario.

Crisis en Cuba se agrava: cierran hoteles y reubican turistas ante desabastecimiento de combustible

Cuba

Por qué respirar profundo todo el tiempo no siempre es señal de buena salud

Durante la conversación, Esteban Jaramillo enumeró varios síntomas que, desde su perspectiva, permiten reconocer una respiración inadecuada.

Joven con enfermedad crónica relató su decisión de solicitar la eutanasia: "Mi vida era bastante activa"

Joven de 25 años explicó en La FM por qué solicitó la eutanasia en Colombia.

Sofía Spaggiari cuenta cómo un coma cambió su forma de entender la gratitud: “Dolía el alma”

Sofía Espaguari cuenta cómo un coma cambió su vida

Ruido en la mesa del ELN por viaje de delegados al Catatumbo antes del bombardeo anunciado por Petro

El equipo enviado por el Gobierno debía entregar una propuesta de paz con el grupo armado.

Rogelio Salmona, más cerca de ser Patrimonio de la Humanidad: así avanza la postulación ante la UNESCO

Rogelio Salmona

¿Está Petro apostándole a varios candidatos para las elecciones presidenciales?

La izquierda hizo diferentes movimientos luego de que Quintero fuera habilitado por el CNE para estar en las consultas de marzo.

Tiembla la consulta de la izquierda: Daniel Quintero reacciona a salida de Juan Fernando Cristo y mensaje de Petro de no continuar la consulta.

El exalcalde de Medellín participará en la consulta para definir candidato de la izquierda en marzo.

“Mañana mismo podría tomar la silla del presidente”: Pinzón confirma su permanencia en la Gran Consulta

precandidato presidencial juan carlos pinzon apuesta por una consulta amplia para construir bloque politico

Rounds FM: Claudia López y Leonardo Huerta definen ideas de cara a la consulta del centro para marzo

Los precandidatos se enfrentarán en consulta para definir quién es candidato definitivo.