Primer ministro de Bahamas dice que no hay forma de defenderse de Dorian
Ya fueron confirmadas cinco muertes.

El primer ministro de Bahamas, Hubert Minnis, confirmó la muerte de cinco personas tras el paso del huracán Dorian por el archipiélago atlántico.
Minnis, en una conferencia de prensa, indicó que de momento es la información disponible y que hay que ser muy cuidadosos con los datos que se dan sobre fallecimientos.
El primer ministro dijo que se trata de una tragedia histórica que habrá que superar con mucho tiempo.
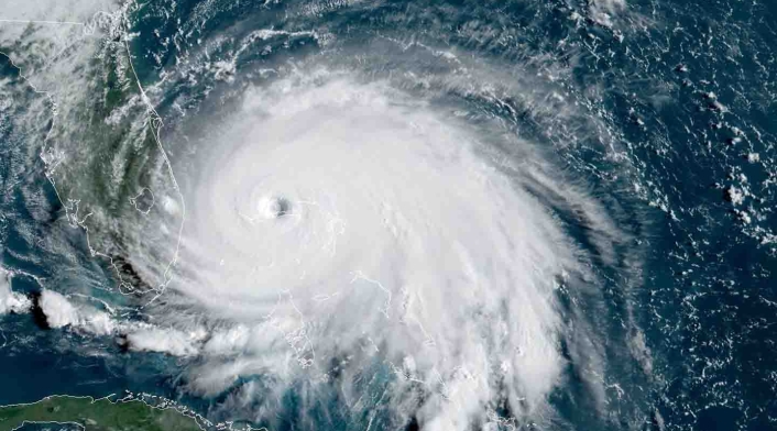
Además, afirmó que el archipiélago atlántico no tiene forma de defenderse contra los efectos del huracán Dorian, que tras arrasar Isla Ábaco continúa su camino de destrucción golpeando a Gran Bahama.
"Las Bahamas están actualmente en guerra y siendo atacada por el huracán Dorian", señaló metafóricamente Minnis en declaraciones a medios locales sobre los efectos del devastador huracán sobre el archipiélago atlántico.
Lea también: Dorian ya es un huracán de categoría 4
"Y, sin embargo, no tenemos un arma a nuestra disposición para defendernos durante un ataque de este enemigo", aseguró el primer ministro, que todavía no se ha pronunciado sobre información divulgada por medios locales según la cual numerosos cuerpos estarían flotando en las Islas Ábaco tras el paso de Dorian.
El ministro de Asuntos Exteriores de Bahamas, Darren Henfield, sí se pronunció sobre el tema para señalar que hay noticias de numerosos cuerpos flotando en Isla Ábaco, el primer punto golpeado en el archipiélago atlántico por el huracán Dorian.
El funcionario dijo que el Gobierno tiene informes de cuerpos vistos flotando en las Islas Ábaco, pero que no se puede confirmar esos datos de forma oficial hasta que las autoridades se desplacen al lugar y lo corroboren, en declaraciones a la cadena televisiva ZNS.
Le puede interesar: Florida declara estado de emergencia por huracán Dorian
Mientras, la Agencia Nacional de Manejo de Emergencias (Nema) de Bahamas detalló que las operaciones de rescate están a la espera de que las condiciones permitan salir a la calle a los equipos de rescate.
El huracán Dorian bajó este lunes a categoría 4 de la escala Saffir-Simpson después de que sus vientos máximos sostenidos se redujeran a 155 millas por hora (250 km/h) mientras permanece sobre el norte del archipiélago de Bahamas.
El último boletín del Centro Nacional de Huracanes (NHC) indicó que Dorian ha reducido ligeramente la intensidad de sus vientos en las últimas dos horas, en las que ha perdido 10 millas por hora (16 km/h).