Japón, en máxima alerta por llegada del tifón Hagibis

Las autoridades lo comparan con el de 1958, que dejó 12.000 personas muertas.
Japón
Al menos 10 ríos del país, dos en Tokio, están en riesgo de desbordamiento Crédito: Captura de video

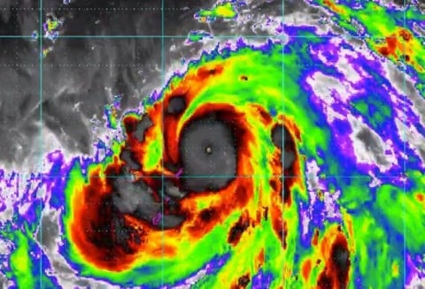
Las autoridades de Japón activaron una inusual alerta máxima por lluvias ante la aproximación del potente tifón Hagibis, que antes de tocar tierra ya había dejado un muerto, varios heridos y graves daños materiales por vientos huracanados.

Hagibis, el decimonoveno tifón de la temporada en el Pacífico, está catalogado como "muy fuerte", la segunda mayor categoría de intensidad de la agencia meteorológica nacional (JMA), que alertó que las lluvias podrían alcanzar a las arrojadas en 1958 por el tifón Ida, que dejó más de 12.000 muertos y desaparecidos.

En un inusual movimiento, la Agencia Meteorológica de Japón (JMA) activó el nivel de alerta máximo 5 por lluvias "con una intensidad observada una vez cada varias décadas" en 12 prefecturas del centro y este del país: Shizuoka, Kanagawa, Tokio, Saitama, Gunma, Yamanashi, Nagano, Ibaraki, Tochigi, Niigata, Fukishima y Miyagi.

Lea más: Una de las mejores voces líricas del mundo se presenta en Bogotá

Este nivel de alerta se activa en raras ocasiones y con él insta a los residentes de zonas cercanas a las orillas de ríos o del mar a que se refugien en lugares seguros o en los segundos pisos o superiores de los edificios ante el elevado riesgo de inundaciones.

Las autoridades han alertado de que las intensas lluvias que se registran desde primera hora del día por la gran extensión del tifón (su diámetro es casi la mitad de la longitud del archipiélago) han hecho que el caudal de ríos supere los niveles de riesgo en varias ciudades y áreas residenciales se han visto afectadas.

Al menos 10 ríos del país, dos en Tokio, están en riesgo de desbordamiento, hay presas en Saitama y Tochigi al límite de su capacidad y se prevén subidas del nivel del mar de hasta 2,5 metros en algunas zonas de la bahía de la capital, según datos recogidos por la cadena pública NHK.

A las 20:00 hora local (11:00 GMT), las autoridades habían emitido órdenes de evacuación para más de un millón de personas y recomendaciones de evacuación para otros 8 millones. Según el proveedor eléctrico Tokyo Electric Power Company (Tepco) hay más de 150.000 viviendas sin luz sólo en la capital.

El tifón se desplaza a 35 kilómetros en dirección norte-noreste tras tocar tierra en la península de Izu poco antes de las 19 horas, y se espera que a medianoche ya haya atravesado Tokio. A primera hora del día, Hagibis ya causaba estragos en la vecina prefectura de Chiba, al este de la capital japonesa.

En la ciudad de Ichihara, la tormenta provocó la formación de un tornado que arrancó parte de los tejados de al menos diez viviendas y desplomó otra. Cinco personas resultaron heridas leves, entre ellas tres menores.

Las autoridades están tratando de determinar si este fenómeno fue también el responsable de que volcara el coche de un hombre de unos 50 años que fue trasladado a un hospital y posteriormente falleció, en la que supondría la primera víctima mortal conocida del temporal.

Lea también: Las 10 pruebas de la Fiscalía contra capitán Álvarez por fuga de Aida Merlano

Chiba se resiente todavía del paso en septiembre del tifón Faxai, que ocasionó importantes cortes energéticos y daños materiales, por lo que las autoridades esperan que con su actual trayectoria Hagibis deje más daños en esa región.

Los bomberos de la ciudad de Gotenba, en Shizuoka, informaron de que dos personas fueron arrastradas por el caudal de un río. Una fue rescatada pero la otra está en paradero desconocido.

En total, son cuatro hasta ahora las personas desaparecidas de las que se tiene constancia, dos en Shizuoka y dos en Gunma, aunque las cifras podrían aumentar en las próximas horas, dado que la noche dificulta las labores de evaluación de daños.

Además del fallecido, hay más de 50 personas heridas en todo el país, según NHK. Las precipitaciones podrían superar los 1.000 milímetros por metro cuadrado hasta la medianoche en la región central de Tokai, y de 600 milímetros en la de Kanto, que incluye al área de Tokio.

Lea más: La sentencia de Washington a Turquía si continúa ofensiva en Siria

Sólo en la ciudad de Hakone, conocida por sus aguas termales, se prevén precipitaciones de más de 700 milímetros en 48 horas. También se espera que se produzcan deslizamientos de tierra y accidentes derivados del desprendimiento o desplazamiento de objetos por los vientos huracanados arrastrados por Hagibis.

El tifón, que arrastra rachas de viento de más de 210 kilómetros por hora, ha provocado la suspensión de casi todos los vuelos con salida o destino en el área de Tokio, Nagoya y Osaka, y el transporte ferroviario en el área capitalina fue totalmente suspendido de forma progresiva hasta el mediodía del domingo.


Temas relacionados

Venezuela

Trump asegura que Venezuela suministrará hasta 50 millones de barriles de petróleo a EE. UU.

Trump afirmó que administrará los recursos obtenidos por la venta del crudo venezolano para destinarlos a proyectos que, según dijo, favorecerán a ambos países.
Donald Trump



Trump evalúa opciones militares para tomar el control de Groenlandia y aumenta las tensiones con Dinamarca

Dinamarca, incluida Groenlandia, forma parte de la OTAN, y la declaración instó a un enfoque colectivo de la seguridad .

Delcy Rodríguez desafía a Trump y asegura que: "No hay agente externo que esté gobernando a Venezuela"

Rodríguez insistió en que el pueblo venezolano está activo en las calles, marchando para exigir la libertad de Nicolás Maduro.

El comediante venezolano George Harris rompe el silencio sobre Maduro, Trump y Venezuela: “Más de 20 años esperando este momento”

George Harris compartió su visión sobre la situación de Venezuela tras la captura de Nicolás Maduro y los escenarios que se abren en el país.

“El ministro de Hacienda tiene desinformado al presidente”: exfuncionaria que renunció al Gobierno por decisión sobre pensiones

ex funcionaria gobierno petro renuncio por decisión sobre pensiones

¿Qué pasó con Sebastián Villa? Así quedó su posible llegada a River Plate

Sebastián Villa, en medio de versiones cambiantes sobre su posible llegada a River Plate.

Tortura, amenazas y exilio: dramático relato de periodista venezolano en La FM; "Viví horrores"

fotoperiodista venezolano denuncia persecucion y reclusion por su trabajo

Maternidad real: lo que pocas veces se cuenta sobre lactancia, posparto y salud mental

Bonnie Bloom Benítez durante su participación en el programa Siempre contigo, donde habló de maternidad y posparto.

¿Es Delcy Rodríguez una figura válida para la transición venezolana?: "Nos podría dejar con el 'madurismo' por mucho tiempo”

delcy rodriguez podria ser una continuacion del madurismo por mucho tiempo

“Dormíamos en el piso y nos golpeaban”: Víctimas venezolanas relatan su paso por centros de reclusión y tortura

victimas venezolanas relatan su paso por centros de reclusion y el exilio

“Los intereses de Colombia van primero que los suyos”: Fajardo a Petro

sergio fajardo pide unidad nacional y sostiene que el presidente debe priorizar a colombia

¿Puede Nicolás Maduro quedar en libertad mientras avanza su proceso judicial en EE. UU.?

nicolas maduro puede quedar en libertad mientras avanza juicio en eeuu

🔴 EN VIVO | Delcy Rodríguez decreta siete días de duelo en Venezuela por muertos en ataque de EE. UU.

Delcy Rodríguez